Schnellnavigation Seitenkopf Sidebar Inhaltsbereich Navigation Seitenfuss
Seitenkopf
Logo der Stadt Wiesmoor
Menü
  • Serviceportal Wiesmoor
  • Termin buchen
  • BLÜTENFEST
  • Feedback
  • Gartenwasser-Zählerstand
  • Stellenangebote
  • Ansprechpartner
  • Leistungen A-Z
  • Verkündungsblätter
  • Fundsachen
  • Sitzungen Infoportal
  • Notfall-Monitor NDS
  • Freilichtbühne
  • Ratsinformationssystem
  • Formulare / Downloads
  • Mein Wiesmoor - Stadtmagazin
  • Facebook
  • Instagram
  • Kontakt
  • Teilen
    • Facebook
    • Twitter

Bekanntmachungen

Inhaltsbereich
C3 (2)

Bebauungsplan C3

Der Rat der Stadt Wiesmoor hat in seiner öffentlichen Sitzung am 15.12.2025 den Bebauungsplan Nr. C 3 9. Änderung als Satzung gemäß§ 10 Abs. 1 Baugesetzbuch (BauGB) beschlossen. Der Geltungsbereich des Bebauungsplans ist aus dem nachstehenden Übersichtsplan ersichtlich.


C2 (2)

Bebauungsplan C2

Der Rat der Stadt Wiesmoor hat in seiner öffentlichen Sitzung am 15.12.2025 den Bebauungsplan Nr. C 2 10. Änderung als Satzung gemäß§ 10 Abs. 1 Baugesetzbuch (BauGB) beschlossen. Der Geltungsbereich des Bebauungsplans ist aus dem nachstehenden Übersichtsplan ersichtlich.


A6

Bebauungsplan A6

Der Rat der Stadt Wiesmoor hat in seiner öffentlichen Sitzung am 15.12.2025 den Bebauungsplan Nr. A 6 5. Änderung als Satzung gemäß§ 10 Abs. 1 Baugesetzbuch (BauGB) beschlossen. Der Geltungsbereich des Bebauungsplans ist aus dem nachstehenden Übersichtsplan ersichtlich.


Teaser Karte

Bebauungsplan A28 - Solarpark Süd

Der Bebauungsplan Nr. A 21 „Solarpark Nord" kann einschließlich seiner Begründung vom 30.08.2024 sowie des Umweltberichtes des Büros für Landschaftsplanung und Umweltentwicklung aus Aurich vom 18.10.2023 gemäß§ 10 Abs. 3 BauGB bei der Stadt Wiesmoor, Hauptstr. 193, 26639 Wiesmoor, Fachbereich 4 - Bauangelegenheiten, 2. Obergeschoss, Zimmer Nr. 205, während der üblichen Dienststunden eingesehen werden. Jedermann kann den Bebauungsplan einsehen und über seinen Inhalt Auskunft verlangen.


Teaser Karte

Bebauungsplan A21 - Solarpark Nord

Der Bebauungsplan Nr. A 21 „Solarpark Nord" kann einschließlich seiner Begründung vom 30.08.2024 sowie des Umweltberichtes des Büros für Landschaftsplanung und Umweltentwicklung aus Aurich vom 18.10.2023 gemäß § 10 Abs. 3 Bau GB bei der Stadt Wiesmoor, Hauptstr. 193, 26639 Wiesmoor, Fachbereich 4 - Bauangelegenheiten, 2. Obergeschoss, Zimmer Nr. 205, während der üblichen Dienststunden eingesehen werden.


Teaser Karte

Bebauungsplan C2 9. Änderung

Der Bebauungsplan Nr. C 2 9. Änderung kann einschließlich seiner Begründung gemäß § 10 Abs. 3 BauGB bei der Stadt Wiesmoor, Hauptstr. 193, 26639 Wiesmoor, Fachbereich 4- Bauangelegenheiten, 2. Obergeschoss, Zimmer Nr. 205, während der üblichen Dienststunden eingesehen werden.


Teaser Karte

Bebauungsplan C22 - Voßbarg

Der Bebauungsplan Nr. C 22 "Voßbarg" kann einschließlich seiner Begründung vom 19.03.2025 sowie des Umweltberichtes des Büros für Landschaftsplanung und Umweltentwicklung aus Aurich vom 27.02.2025 gemäß§ 10 Abs. 3 BauGB bei der Stadt Wiesmoor, Hauptstr. 193, 26639 Wiesmoor, Fachbereich 4 - Bauangelegenheiten, 2. Obergeschoss, Zimmer Nr. 205, während der üblichen Dienststunden eingesehen werden.


Teaser Veranstaltungen

Verkaufsoffener Sonntag

Verkaufsstellen dürfen in der Stadt Wiesmoor am Sonntag, den 04.01.2026 anlässlich des Wintermarktes in der Zeit von 12:00 bis 17:00 Uhr geöffnet sein. Die Verkaufsöffnung ist bezogen auf den räumlichen Geltungsbereich und beschränkt sich auf die im Ortsteil Voßbarg (Wiesmoor) liegenden Geschäfte. Der Bereich umfasst die anliegenden Verkaufsstellen an der Kanalstraße II 1A, 26639 Wiesmoor.


67. Änderung FNP

67. Änderung FNP

Die Flächennutzungsplanänderung kann einschließlich ihrer Begründung mit den Anlagen und dem Umweltbericht sowie der zusammenfassenden Erklärung nach § 6 a Abs.1 BauGB bei der Stadt Wiesmoor, Hauptstr. 193, 26639 Wiesmoor, während der üblichen Dienststunden eingesehen werden. Jedermann kann die Flächennutzungsplanänderung einsehen und über ihren Inhalt Auskunft verlangen.


60. Änderung FNP

60. Änderung FNP

Die Flächennutzungsplanänderung kann einschließlich ihrer Begründung mit den Anlagen und dem Umweltbericht sowie der zusammenfassenden Erklärung nach § 6 a Abs.1 BauGB bei der Stadt Wiesmoor, Hauptstr. 193, 26639 Wiesmoor, während der üblichen Dienststunden eingesehen werden. Jedermann kann die Flächennutzungsplanänderung einsehen und über ihren Inhalt Auskunft verlangen.


57. Änderung FNP

57. Änderung FNP

Die Flächennutzungsplanänderung kann einschließlich ihrer Begründung mit den Anlagen und dem Umweltbericht sowie der zusammenfassenden Erklärung nach § 6 a Abs.1 BauGB bei der Stadt Wiesmoor, Hauptstr. 193, 26639 Wiesmoor, während der üblichen Dienststunden eingesehen werden. Jedermann kann die Flächennutzungsplanänderung einsehen und über ihren Inhalt Auskunft verlangen.


Teaser Karte

Flurbereinigung Moorlage

Ergebnisse der Wertermittlung werden zur Einsichtnahme für die Beteiligten im Dorfgemeinschaftshaus Moorlage, Oldendorfer Straße 45, 26629 Großefehn am 13. und 14. November von 09:00 - 16:00 Uhr ausgelegt.


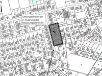
C3

10. Änderung des Bebauungsplans Nr. C 3 – „Ottermeer“ – Bestattung unter Bäumen-

Zukünftig soll im Geltungsbereich der 10. Änderung des Bebauungsplans C3 eine Fläche für Landwirtschaft und Wald mit der Zweckbestimmung „Bestattungswald“ ausgewiesen werden.


Teaser Baum

Gewässerschau

Die Schau der Gewässer III. Ordnung für das Gebiet des Landkreises Aurich in den Städten Aurich,
Norden und Wiesmoor, den Samtgemeinden Brookmerland und Hage sowie den Gemeinden Dornum, Großefehn, Großheide, Hinte, Ihlow, Krummhörn, Südbrookmerland, einschließlich ihrer Ortsteile findet statt in der Zeit vom
22. Oktober bis 19. November 2025.


Teaser Bauamt

2. Änderung des Bebauungsplans Nr. A 11 – „Hortensienweg“

Bauleitplanung in der Stadt Wiesmoor - Beteiligung der Öffentlichkeit; hier: 2. Änderung des Bebauungsplans Nr. A 11 – „Hortensienweg“. Die 2. Änderung des Bebauungsplans A 11 mit der dazugehörigen Entwurfsbegründung liegt in der Zeit vom 08. September 2025 bis einschl. 10. Oktober 2025 im Rathaus der Stadt Wiesmoor aus.


Teaser Bauamt

10. Änderung des Bebauungsplans Nr. C 2 – „Hauptstraße“

Bauleitplanung in der Stadt Wiesmoor - Beteiligung der Öffentlichkeit; hier: 10. Änderung des Bebauungsplans Nr. C 2 – „Hauptstraße“. Die 10. Änderung des Bebauungsplans C 2 mit der dazugehörigen Entwurfsbegründung liegt in der Zeit vom 05. September 2025 bis einschl. 10. Oktober 2025 im Rathaus der Stadt Wiesmoor aus.



Teaser Bauamt

9. Änderung des Bebauungsplans Nr. C 3 – „Ottermeer“

Bauleitplanung in der Stadt Wiesmoor - Beteiligung der Öffentlichkeit; hier: 9. Änderung des Bebauungsplans Nr. C 3 – „Ottermeer“. Die 9. Änderung des Bebauungsplans C 3 mit der dazugehörigen Entwurfsbegründung liegt in der Zeit vom 05. September 2025 bis einschl. 10. Oktober 2025 im Rathaus der Stadt Wiesmoor aus.



Teaser Ausschreibung

Windpark Bentstreek

Öffentliche Bekanntmachung eines Genehmigungsverfahrens nach dem Bundes-immissionsschutzgesetz (BimSchG) und dem Gesetz über die Umweltverträglichkeits-prüfung (UVPG) für die Errichtung und den Betrieb von sechs Windenergieanlagen im Windpark Bentstreek


Teaser Ausschreibung

Unterlagen WP Bentstreek

Unterlagen zum Genehmigungsverfahrens nach dem Bundes-immissionsschutzgesetz (BimSchG) und dem Gesetz über die Umweltverträglichkeits-prüfung (UVPG) für die Errichtung und den Betrieb von sechs Windenergieanlagen im Windpark Bentstreek


B7

3. Änderung des Bebauungsplans B 7

Der Rat der Stadt Wiesmoor hat in seiner öffentlichen Sitzung am 24.02.2025 den Bebauungsplan Nr.
B 7 3. Änderung "Schulstraße" als Satzung gemäß § 10 Abs. 1 Baugesetzbuch (BauGB) beschlossen.


D 16

Bebauungsplan D16

Der Rat der Stadt Wiesmoor hat in seiner öffentlichen Sitzung am 23.06.2025 den Bebauungsplan Nr. D 16 mit den enthaltenen örtlichen Bauvorschriften gem. § 84 als Satzung gemäß § 10 Abs. 1 Bauge-setzbuch (BauGB) beschlossen.



Bekanntmachung_A6_5_Aenderung_Homepage_unterz_21052025_Seite_1

Änderung Bebauungsplan

Nr. A 6 - Jannburger Weg / Renkenweg


C2_8_Aend_Bekanntmachung_Aushang und Homepage23042025 (002)_Seite_1

Erhaltungssatzung „Siedlung am Rathaus“

Inkrafttreten der 8. Änderung des Bebauungsplanes Nr. C 2 der Stadt Wiesmoor (Erhaltungssatzung „Siedlung am Rathaus“)


C22 Lageplan Voßbarg

C 22 Voßbarg 67. Änderung des FNP

hier: 67. Änderung des Flächennutzungsplanes sowie Bebauungsplan Nr. C 22 – „Voßbarg“


C22 Lageplan Voßbarg

C 22 Voßbarg 67. Änderung des FNP

67. Änderung des Flächennutzungsplanes und Aufstellung des Bebauungsplanes C 22 „Voßbarg“


Teaser Ausschreibung

Verkaufsoffener Sonntag

Allgemeinverfügung der Stadt Wiesmoor über die Öffnung von Verkaufsstellen an Sonn- und Feiertagen.


Bundestagswahl 25

Wahlbekanntmachung

zur Bundestagswahl am 23. Februar 2025


Bundestagswahl 25

Einsicht ins Wählerverzeichnis

Bekanntmachung über das Recht auf Einsicht in das Wählerverzeichnis und die Erteilung von Wahlscheinen für die Wahl zum Deutschen Bundestag am 23. Februar 2025.


Teaser Finanzen

Grundsteuer

Änderung der Grundsteuerhebesätze.


Logo NDS Klima und NKI

Einstiegs- und Orientierungsberatung zum Klimaschutz

Die Stadt Wiesmoor hat im Rahmen eines Förderprogramms der Nationalen Klimaschutzinitiative des Bundesministeriums für Wirtschaft und Klimaschutz eine Einstiegs- und Orientierungsberatung in Zusammenarbeit mit der Firma NettCon Energy aus Leer durchgeführt.


Teaser Ausschreibung

Flurbereinigungsverfahren Moorlage

Auslegung der Planunterlagen und der Genehmigung des Planes nach § 41 FlurbG


Bauleitplanung Friedhofsweg

Außenbereichssatzung „Friedhofsweg“

Bauleitplanung in der Stadt Wiesmoor - Beteiligung der Öffentlichkeit;

hier: Aufstellung einer Außenbereichssatzung „Friedhofsweg“


Teaser Finanzen

Jahresabschluss

der Stadt Wiesmoor zum 31.12.2022


Teaser Ausschreibung

Verlängerung der Familienförderung

Der Rat der Stadt Wiesmoor hat in seiner Sitzung am 30.09.2024 beschlossen, die mit Wirkung vom 06.06.2007 erlassene „Richtlinie der Stadt Wiesmoor zur Förderung des Wohnungsbaus für Familien mit Kindern durch Gewährung von Finanzierungszuschüssen“ um weitere 5 Jahre zu verlängern.


Teaser Ausschreibung

Richtlinie zur Förderung der Ansiedlung von Ärztinnen und Ärzten in der Stadt Wiesmoor

Um die ärztliche Versorgung in der Stadt Wiesmoor langfristig zu sichern, soll die Ansiedlung von Ärztinnen und Ärzten (einschl. Psychotherapeutinnen und Psychotherapeuten) finanziell gefördert werden. Damit sollen die Rahmenbedingungen für die Gesundheitsversorgung in der Stadt Wiesmoor verbessert werden. Der Rat der Stadt Wiesmoor hat deshalb in seiner Sitzung am 30.09.2024 den Erlass der nachfolgenden „Richtlinie zur Förderung der Ansiedlung von Ärztinnen und Ärzten in der Stadt Wiesmoor“ beschlossen.


Teaser Kalender weiß-01

Gewässerschau

Schau der Gewässer III. Ordnung im Landkreis Aurich


Teaser Bauamt

Bauleitplanung A 26

Bebauungsplan Nr. A 26 – „Wohngebiet Kornblumenweg“


Teaser Ausschreibung

Einziehung einer öffentlichen Verkehrsfläche

Der „Grüner Weg“ in der Gemarkung Marcardsmoor.


Teaser Aktuelles

verkaufsoffener Sonntag

Allgemeinverfügung über die Öffnung von Verkaufsstellen an Sonn- und Feiertagen - 06.10.2024 (Kürbisfest).


Teaser Karte

Baugebiet C2

9. Änderung des Bebauungsplans Nr. C 2


Teaser Karte

Bebauungsplan D16

Neuaufstellung des Bebauungsplans Nr. D 16 – „Hauptstraße“


Europa

Europawahl 2024

Wahlbekanntmachung


Europa

Europawahl 2024

Muster-Stimmzettel


Teaser Bauen

Bauleitplanung: A 28 – „Solarpark Süd“

Die Stadt Wiesmoor beabsichtigt mit dem vorhabenbezogenen Bebauungsplan Nr. A 28 die Schaffung von Sonderbauflächen für Erzeugung von erneuerbarer Energie in Form von Solarenergie auf dem Betriebsgelände einer ehemaligen Gärtnerei.


Teaser Bauen

Bauleitplanung: A 21 – „Solarpark Nord“

Die Stadt Wiesmoor beabsichtigt mit dem vorhabenbezogenen Bebauungsplan Nr. A 21 die Schaffung von Sonderbauflächen für Erzeugung von erneuerbarer Energie in Form von Solarenergie auf dem Betriebsgelände einer ehemaligen Gärtnerei.


Teaser Rathaus

3. Satzung zur Änderung der Hauptsatzung der Stadt Wiesmoor

Der Rat der Stadt Wiesmoor hat in seiner Sitzung am 26.02.2024 die 3. Änderung der Hauptsatzung der Stadt Wiesmoor beschlossen.


Teaser Bauamt

Freies Grundstück A27

Aufgrund besonderer Umstände wurde ein Einfamilienhausgrundstück (Flurstück 260) zur Größe von 888 qm von den Käufern zurückgegeben.


Teaser Rathaus

2. Satzung zur Änderung der Hauptsatzung der Stadt Wiesmoor

Der Rat der Stadt Wiesmoor hat in seiner Sitzung am 05.12.2023 die 2. Änderung der Hauptsatzung der Stadt Wiesmoor beschlossen.


Teaser Karte

Neuaufstellung des Bebauungsplanes Nr. B 3

Amaryllisweg / Sonnenblumenweg


Teaser Karte

3. Änderung des Bebauungsplanes Nr. B 7

Schulstraße


Teaser Karte

Bebauungsplan Nr. B 14

Einkaufszentrum Kaufhaus Behrends


Teaser Karte mit Spot

Bauleitplanung in der Stadt Wiesmoor

65. Änderung des Flächennutzungsplans


Teaser Ausschreibung

Verkaufsoffener Sonntag

Allgemeinverfügung der Stadt Wiesmoor
über die Öffnung von Verkaufsstellen an Sonn- und Feiertagen


Teaser Kalender weiß-01

Sitzung des Ausschusses für Stadtentwicklung, Klima- und Umweltschutz

Sitzung des Ausschusses für Stadtentwicklung, Klima- und Umweltschutz am Dienstag, 26.09.2023, um 16:00 Uhr, im Sitzungssaal des Rathauses, Hauptstr. 193, 3. OG Zimmer 315.


Teaser Ausschreibung

Verkaufsoffener Sonntag

Allgemeinverfügung der Stadt Wiesmoor
über die Öffnung von Verkaufsstellen an Sonn- und Feiertagen


Teaser Kalender weiß-01

Sitzung des Ausschusses für Verkehr und Feuerschutz

Sitzung des Ausschusses für Verkehr und Feuerschutz am Donnerstag, 14.09.2023, um 16:00 Uhr, im Sitzungssaal des Rathauses, Hauptstr. 193, 3. OG Zimmer 315.


Teaser Ausschreibung

Flurbereinigung Sauteler Kanal

In der Flurbereinigung Sauteler Kanal Wird aufgrund des§ 8 Abs. 1 Flurbereinigungsgesetz i. d. F. vom 16.03.1976 (BGBI. 1 S. 546), zuletzt geändert durch Art. 17 des Gesetzes vom 19.12.2008 (BGBI. I.S. 2794), die Hinzuziehung folgender Flurstücke angeordnet:


Teaser Ausschreibung

Bekanntmachungen des Landkreises Aurich

Öffentliche Bekanntmachung eines Antrages nach dem Bundes-Immissionsschutzgesetz Carpe Ventos Energie GmbH (Az.: 2916/2022)


Teaser Bauen

Bebauungsplan Nr. C 15, Änderung Nr. 1 – Neuer Weg

Bauleitplanung in der Stadt Wiesmoor - Beteiligung der Öffentlichkeit; hier: Bebauungsplan Nr. C 15, Änderung Nr. 1 – Neuer Weg


Teaser Bauen

Bebauungsplan Nr. C 9, Änderung Nr. 3 – Dahlienstraße

Bauleitplanung in der Stadt Wiesmoor - Beteiligung der Öffentlichkeit; hier: Bebauungsplan Nr. C 9, Änderung Nr. 3 – Dahlienstraße


Teaser Bauen

Bebauungsplan Nr. A7

Inkrafttreten des Bebauungsplans Nr. A7 Marktplatz 2. Änderung der Stadt Wiesmoor


Teaser Ausschreibung

Schöffinnen und Schöffen

Vorschlagsliste für die Wahl von Schöffinnen und Schöffen für die Jahre 2024 bis 2028


Teaser Ausrufezeichen weiß-01

Friedhofsamt

Gem. § 19 (1) der Friedhofssatzung der Stadt Wiesmoor wird auf die Verpflichtung
zur Herrichtung und Grabpflege für die genannte Grabstätte hingewiesen, da ein Nutzungsberechtigter nicht zu ermitteln ist.


Teaser Kalender weiß-01

Sitzung des Ausschusses für Soziales, Schule und Sport

Sitzung des Ausschusses für Soziales, Schule und Sport am Dienstag, 13.06.2023, um 16:00 Uhr, im Sitzungssaal des Rathauses, Hauptstr. 193, 3. OG Zimmer 315


Teaser Kalender weiß-01

Sitzung des Ausschusses für Verkehr und Feuerschutz

Sitzung des Ausschusses für Verkehr und Feuerschutz am Donnerstag, 11.05.2023, um 16:00 Uhr, im Sitzungssaal des Rathauses, Hauptstr. 193, 3. OG Zimmer 315


Teaser Kalender weiß-01

Sitzung des Ausschusses für Soziales, Schule und Sport

Am Dienstag, 02.05.2023, um 16:00 Uhr findet eine Sitzung des Ausschusses für Soziales, Schule und Sport, im Sitzungssaal des Rathauses, Hauptstr. 193, 3. OG Zimmer 315, statt.


Teaser Kalender weiß-01

Sitzung des Ausschusses für Verkehr und Feuerschutz

Sitzung des Ausschusses für Verkehr und Feuerschutz am Mittwoch, 19.04.2023, um 15:00 Uhr, im Sitzungssaal des Rathauses, Hauptstr. 193, 3. OG Zimmer 315


Teaser Kalender weiß-01

Sitzung des Ausschusses für Stadtentwicklung, Klima- und Umweltschutz

Sitzung des Ausschusses für Stadtentwicklung, Klima- und Umweltschutz
am Dienstag, 18.04.2023, um 16:00 Uhr, im Sitzungssaal des Rathauses, Hauptstr. 193,
3. OG Zimmer 315


Teaser Ausrufezeichen weiß-01

Verkaufsoffener Sonntag 26.03.2023

Allgemeinverfügung der Stadt Wiesmoor
über die Öffnung von Verkaufsstellen an Sonn- und Feiertagen.


Teaser Kalender weiß-01

Ratssitzung

Am Dienstag, 07.03.2023, um 19:00 Uhr, im Forum der KGS Wiesmoor, Schulstraße 8, findet eine Sitzung des Rates statt.


paragraph 2

Schöffenwahl

Die Stadt Wiesmoor sucht noch Schöffen


Teaser Bauamt

Jetzt für Wohneigentümer im Landkreis Aurich

Kostenlose Energiespar-Beratung Private Wohngebäude


Teaser Kalender weiß-01

Sitzung des Ausschusses für Finanzen, Wirtschaft und Tourismus

Sitzung des Ausschusses für Finanzen, Wirtschaft und Tourismus am Donnerstag, 16.02.2023, um 16:00 Uhr, im Sitzungssaal des Rathauses, Hauptstr. 193, 3. OG Zimmer 315.


Teaser Finanzen

Sonnenenergie

Förderrichtlinie der Stadt Wiesmoor zur Gewährung von Zuschüssen für die Nutzung von Sonnenenergie


Teaser Handschlag 2

Ehrenamt der Jugendschöffin und Jugendschöffen

Vorschlagsliste interessierte Personen zur Ausübung des Ehrenamtes der Jugendschöffin und Jugendschöffen


Teaser Aktuelles

Richtlinie zur Bewältigung der Auswirkungen der Energiekrise.

Antragsberechtigt sind Sportvereine und Landesfachverbände, die ordentliches Mitglied im LSB sind, sowie Sportbünde, die Gliederungen des LSB sind.


Teaser Bauamt

Bauleitplanung in der Stadt Wiesmoor

Bauleitplanung in der Stadt Wiesmoor - Beteiligung der Öffentlichkeit;
hier: 57. Änderung des Flächennutzungsplanes sowie Bebauungsplan
Nr. D 11 – „Gewerbegebiet Oldenburger Straße L 12“


Weitere Bekanntmachungen
Sidebar
  • Nachrichtenarchiv
  • Sitzungskalender
  • Bekanntmachungen
  • Ausschreibungen
Seitenfuss

ANSCHRIFT/KONTAKT

Rathaus Wiesmoor
Hauptstraße 193
26639 Wiesmoor
Tel:
04944-305-0

ÖFFNUNGSZEITEN

montags-freitags8:15-12:30 Uhr
donnerstags auch14:00-17:00 Uhr


Termine außerhalb der Öffnungszeiten nach
vorheriger Vereinbarung möglich.

  • Kontakt
  • Impressum
  • Datenschutz
  • Barrierefreiheit
Navigation
  • Aktuelles
    • Nachrichtenarchiv
    • Sitzungskalender
    • Bekanntmachungen
    • Ausschreibungen
  • Daten & Fakten
    • Unsere Stadt
    • Stadt- & Ortsteile
      • Dorfgemeinschaft Mullberg
      • Dorfgemeinschaft Hinrichsfehn
      • Dorfgemeinschaft Marcardsmoor
      • Dorfgemeinschaft Zwischenbergen
      • Dorfgemeinschaft Wiesederfehn
    • Wappen
    • Geschichtsüberblick
    • Partnerstädte
  • Verwaltung & Politik
    • Bürgermeister
    • Verwaltung
    • Gleichstellungsbeauftragte
    • Datenschutzbeauftragter
    • Finanzen
      • Beauftragte für Menschen mit Handicap
    • Politik
    • Ratsinformationssystem
      • Bürgerinfoportal
      • Login Mandatsträger
    • Wahlen
      • Europawahl
        • Europawahl 2024
      • Bundestagswahlen
      • Landtagswahlen
      • Kommunalwahlen
      • Wahlergebnisse
    • Bürgerentscheid am 11. Juni 2017
    • Hinweisgeberschutzgesetz
  • Bürgerservice A-Z
    • Dienstleistungen
    • Ansprechpartner
    • Ortsrecht
    • Organisation
    • Öffnungszeiten
    • Informationsbroschüre
    • Online-Dienste
      • Zählerstandübermittlung Wasseruhrnebenzähler
      • Onleihe Stadtbibliothek
      • Ratsinformationssystem
      • Wahlschein beantragen
    • Standesamt
    • Feuerwehr
    • Notruftafel
    • Schiedsperson
    • Öffentliche Toiletten
  • Formulare / Downloads
    • Steuern, Gebühren und Beiträge
    • Bürger- und Ordnungsdienste
    • Bauen
    • Sonstige
    • Broschüren & Flyer
  • Bildung, Familie & Sport
    • Kindertagesstätten
      • Kinnerhuus an`t Markt
      • Mullbarger-Nüst
      • Muuskestuuv
      • Regenbogensteppkes
      • Übersicht Standorte
    • Schulen
      • Übersicht Einzugsgebiete
    • Stadtbibliothek
      • Onleihe
      • Veranstaltungen
      • Öffnungszeiten
    • Sport
    • Jugendpflege & Schulsozialarbeit
      • Jugendpflege
      • Schulzeit
      • Schulsozialarbeit
      • Ferienprogramm
      • Ferienbetreuung Ostern 2026
      • Politisches Speeddating
      • Jugendplatz
    • Formulare / Downloads
  • Freizeit, Kultur & Gesundheit
    • Freizeit
      • Hallenbad
        • Schwimmkurse
      • Moorfreibad Ottermeer
      • Camping- und Bungalowpark Ottermeer
      • Blumenreich - Blumenhalle & Gartenpark
      • Erlebnisgolf Ostfriesland
      • 27-Loch Golfplatz
      • Jugendplatz
      • Veranstaltungen
    • Kultur
      • Freilichtbühne
        • Geschichte
      • Kultur- und Kunstkreis
      • Niederdeutsche Bühne
      • Nielsenpark
      • Stadtorchester
      • Torf- und Siedlungsmuseum
      • Volkstanzgruppe
      • Plattdeutsch
    • Gesundheit
      • Ärzteförderung
  • Bauen, Wohnen & Grundstücke
    • Bauleitfaden
      • Erwerb eines Grundstücks
      • Planung eines Bauvorhabens
      • Der Bauantrag
      • Hausanschlüsse der Versorgungsträger
      • Abwasserbeseitigung
      • Oberflächenwasser-beseitigung
    • Bauleitplanung
    • Perspektive Innenstadt
    • Dorfentwicklung
      • Dorfentwicklungsplan Marcardsmoor - Wiesede
      • Maßnahmen Dorfentwicklung
    • Abwasser
    • Entwässerung
    • Kläranlage
    • Nationale Klimaschutzinitiative
    • Straßen
    • Wohnbaugebiete
      • Baugebiet C 15 - Am Promenadentief
    • Förderung
    • Gewerbegebiete
      • Gewerbegebiet "Hopelser Weg"
      • Gewerbegebiet D 11 "Oldenburger Straße"
    • Formulare / Downloads
    • Einzelhandel
    • Wiesmoor weiterdenken
  • Wirtschaft & Verkehr
    • Radverkehrskonzept
      • Entwicklung des Konzeptes
    • Fehntjer Bus
    • Standortinformationen
    • Gewerbegrundstücke
    • Gründerzentrum
    • Gewerbliches Raumangebot
    • Informationen für die Wirtschaft
    • Stadtgutschein
    • Ehrenamt
    • Wirtschaftsförderung
      • PopUp-Store
      • Ärzteförderung
  • Kontakt
    • Impressum
    • Datenschutz
    • Kontaktformular
    • Barrierefreiheit